今年七下八上华北降水极端性强 全国平均气温历史同期第二高
今年七下八上华北降水极端性强 全国平均气温历史同期第二高
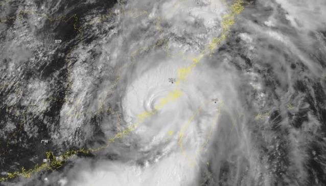
据国家气候中心消息,今年“七下八上”期间(7月16日至8月15日),我国暴雨区域集中,极端性强,全国共出现7次暴雨过程。那么具体是什么情况呢?下面小编带来介绍。
今年七下八上华北降水极端性强
全国降水量略偏多,华北降水极端性强。“七下八上”期间,全国平均降水量123.2毫米,较常年同期偏多4.9%;东北中部、华北东部、华东中南部及陕西中部、河南北部、重庆西部等地偏多5成至1倍,其中北京南部、河北南部、河南北部的部分地区偏多1~2倍。
华北降水极端性强,其中北京降水量为1961年以来历史同期第三多、河北、福建为历史同期第五多。全国共有68个国家站日降水量达到或超过当月极大值,其中北京斋堂(214.2毫米,7月31日)、河北保定(256.8毫米,7月30日)、福建福州(295.6毫米,7月29日)等29站日降水量达到或突破历史纪录。
全国平均气温为历史同期第二高,华北、西北气温明显偏高。今年“七下八上”期间(7月16日至8月15日),全国平均气温23.2℃,较常年同期偏高1.0℃,为1961年以来历史同期第二高,仅次于2022年(23.3℃)。西北大部、华北等地气温较常年同期偏高1~4℃,全国其余大部地区基本接近常年。十件东西不能捡路上绝不能捡的东西有哪些(寓意不吉利)
甘肃、宁夏平均气温均为1961年以来历史同期最高,新疆为第二高,河北、山西、海南均为历史同期第三高。全国共有29个国家站日最高气温达到或突破当月极大值,其中新疆淖毛湖(45.3℃,7月28日)、策勒(42.4℃,7月28日)等7站日最高气温达到或突破历史纪录。部落冲突
全国平均气温历史同期第二高
暴雨区域集中,极端性强。全国共出现7次暴雨过程,华北和东北在一个月内均遭受3次暴雨袭击。7月29日至8月1日,京津冀鲁豫等地遭受极端暴雨事件,过程最大累计雨量为河北邢台临城县的1003.3毫米(相当于两年的降水量),北京市过程最大雨量位于昌平王家园水库(744.8毫米),为北京地区有仪器测量记录140年以来最高降水量;京津冀地区平均累计降水量175毫米,超过该地区平均年降水量的三分之一;北京降雨持续时间达83小时;此次过程最大累计降水量超过华北“96·8”、北京2012年“7·21”、河北2016年“7·19”。东北地区暴雨过程导致松花江发生2023年1号洪水,黑龙江、吉林多地遭受暴雨洪涝灾害。
西北高温日数明显偏多,极端性强。今年“七下八上”期间全国平均高温日数5.4天,比常年同期偏多1.5天,为1961年以来历史同期第四多。甘肃中西部、内蒙古西部、新疆大部高温日数较常年同期偏多3~10天,华中中南部高温日数较常年同期偏少3~10天。甘肃高温日数为1961年以来同期最多,新疆和北京分别为第2多和第3多。新疆6个、广西1个国家级气象站日最高气温达到或突破历史极值。布里奇斯期间共发生3次区域性高温天气过程;7月17日至25日期间,华北、黄淮、西南、江南等地接连遭受两次区域性高温天气过程。
强对流活动多,局地极端性强。“七下八上”期间,全国共发生8次区域性强对流天气过程。济州岛旅游攻略8月11-13日,陕西中部、四川、山西东南部、河北中部等站出现50~80毫米/小时、局地100毫米/小时以上的短时强降水,局地伴有8-10级雷暴大风,局地可达11-12级。11日下午6时,西安市长安区滦镇街道喂子坪村短时强降雨引发山洪泥石流灾害;13日16时15分,江苏省盐城大丰区部分乡镇出现龙卷风,两次强对流造成多人伤亡。
台风登陆个数接近常年同期,但强度偏强、影响严重。西北太平洋及南海生成4个台风,较常年同期偏少1个,其中2个登陆我国,接近常年同期。7月17日,“泰利”登陆广东湛江,为今年首个登陆我国的台风,登陆时间较常年偏晚21天,登陆强度为2000年以来初台登陆强度第三强。7月28日,“杜苏芮”以强台风强度正面登陆福建晋江,强度为1949年以来登陆福建第二强,影响东部14省(区、市)(闽浙赣皖豫鲁京津冀晋蒙黑吉辽),造成严重灾害损失。“卡努”虽未直接登陆我国,但其带来较强风雨,叠加东北地区前期降水,导致防汛抗洪压力进一步增大。
-
- 女生心目中的优秀男生,都有哪些特点?
-
2024-05-12 06:39:50
-
- 泡菜坛子哪种最好 泡菜坛子无釉有釉区别
-
2024-05-12 06:38:55
-
- 女生说做朋友还有机会吗?应对得当就你们还有可能
-
2024-05-12 06:36:55
-
- 儿童谜语大全3到6岁,喜欢和孩子一起玩猜谜语的故事
-
2024-05-12 06:36:01
-
- 女生看到喜欢的男生的眼神是什么样的?
-
2024-05-12 06:34:00
-
- 最新流行的可爱短发发型
-
2024-05-12 06:33:08
-
- 女生发了个早我回什么好?愉快的聊天就此开始
-
2024-05-12 06:31:05
-
- 铁锅和不粘锅有什么区别(铁锅和不粘锅哪个好)
-
2024-05-12 06:30:15
-
- 女人出轨最明显的表现是什么?多多注意发现问题
-
2024-05-12 06:28:11
-
- cpb隔离有哪几种 cpb隔离霜有什么区别
-
2024-05-12 06:27:22
-
- 女朋友妈不同意怎么办
-
2024-05-12 06:25:16
-
- 衣服有静电贴身怎么办 衣服快速去静电小妙招
-
2024-05-12 06:24:29
-
- 女朋友不喜欢吵架怎么办?
-
2024-05-12 06:22:22
-
- 兰蔻粉水在哪个步骤用 兰蔻粉水的正确使用方法
-
2024-05-12 06:21:36
-
- 男生道歉时要注意什么 男生道歉后怎么挽回女友
-
2024-05-12 06:19:27
-
- 仓央嘉措《见与不见》全文,《见与不见》诗词赏析
-
2024-05-12 06:18:43
-
- 哪个年龄段的女生最好追 多少岁的女生最好追
-
2024-05-12 06:16:33
-
- 中国去年出生人口956万 二孩占38.9%
-
2024-05-12 06:15:50
-
- 跟狮子男聊天要主动吗,狮子男喜欢的聊天模式
-
2024-05-12 06:13:38
-
- 核污水入海后还能吃海鲜吗
-
2024-05-12 06:12:57